Meldung vom 05.10.2018 Die Gemeinde Ebersdorf b.Coburg veräußert nachfolgendes Grundstück im Bieterverfahren gegen Höchstgebot: Lage: Flurnummer 320-3, Gemarkung Großgarnstadt; Grundstücksgröße: 606 qm

Die Gemeinde Ebersdorf b.Coburg veräußert nachfolgendes Grundstück im Bieterverfahren gegen Höchstgebot:
Lage: Flurnummer 320-3, Gemarkung Großgarnstadt;
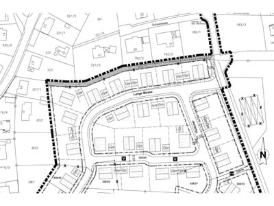
siehe markierte Fläche im Lageplan
Grundstücksgröße: 606 qm
Das unverpachtete Grundstück befindet sich am äußersten nördlichen Rand des Baugebietes „Lange Maase", Großgarnstadt (rechtsverbindlicher Bebauungsplan „3. Änderung und Erweiterung des Bebauungsplans Lange Maase", Großgarnstadt).
Für das Grundstück besteht Baurecht. Es ist aufgrund seiner Grundstücksbreite jedoch nicht selbständig bebaubar und liegt derzeit außerhalb der Baugrenzen.
Die Erschließung des Grundstücks kann nur über ein angrenzendes Grundstück gesichert werden. Die Erschließungsmaßnahmen für den betroffenen Bauabschnitt werden über einen Erschließungsträger voraussichtlich ab dem 2. Quartal 2018 durchgeführt.
Der Mindestverkaufspreis ist auf 30,00 € pro Quadratmeter festgesetzt. Angebote sind an dieser Vorgabe auszurichten.
Vertragliche Regelungen im Kaufvertrag
Der Käufer verpflichtet sich für den Fall, dass er den Vertragsgrundbesitz innerhalb von 10 Jahren ab Beurkundung ganz oder teilweise verkauft und der dort ausgewiesene Verkaufspreis den jetzigen Kaufpreis übersteigt, diesen übersteigenden Differenzbetrag abzüglich nachstehender Kosten und Steuern an die Gemeinde Ebersdorf b.Coburg als weiteren Kaufpreis aufzuzahlen. Vom Aufzahlungsbetrag sind abzuziehe:
-die für den jetzigen Kaufvertrag anfallenden Kosten bei Notar und Grundbuchamt,
- die für den jetzigen Verkauf anfallende Grunderwerbsteuer.
Klargestellt wird, dass Erschließungsbeiträge nach dem BauGB und Herstellungsbeiträge für Wasser und Entwässerung nach dem KAG im jetzigen Kaufpreis nicht enthalten sind und deswegen, sofern sie in einem künftigen Kaufpreis enthalten sein sollten, vom Aufzahlungspreis ebenfalls abzuziehen sind.
Erschließungskosten (Erschließungsbeiträge für die Straßenerschließung, Herstellungsbeiträge für Wasser und Entwässerung)
Die Erschließung des Baugebietes erfolgt über einen Erschließungsträger. Im Kaufpreis sind keine grundstücksbezogenen Erschließungskosten enthalten.
Ggf. anfallende Erschließungskosten für die Straßenerschließung werden direkt vom Erschließungsträger berechnet.
Für das Grundstück können Herstellungsbeiträge gemäß den gemeindlichen Beitrags- und Gebührensatzungen (WAS-BGS und EWS-BGS) anfallen.
Bieterverfahren
a) Gebote
Gebotsabgaben sind ab Montag, 08.10.2018 möglich. Kaufpreisgebote sind in schriftlicher Form bis spätestens Mittwoch, 31.10.2018, 17:00 Uhr, auf dem Postweg (Gemeinde Ebersdorf b.Coburg, Raiffeisenstraße 1, 96237 Ebersdorf) oder im Rathaus direkt im verschlossenen Kuvert abzugeben. Auf dem verschlossenen Kuvert ist deutlich sichtbar der Vermerk
„Nicht Öffnen - Bieterverfahren Grundstück Fl.Nr. 320/3, Gemarkung Großgarnstadt" anzubringen. Pro Bieter / Haushalt (in häuslicher Gemeinschaft lebender Familienverband, lt. Melderegister) ist nur ein verbindliches Angebot zulässig. Zulässig sind ebenfalls Bietergemeinschaften. Auch hier ist nur ein verbindliches Angebot zulässig.
Das Gebot muss deutlich lesbar sein und folgende Punkte enthalten:den Namen des Bieters mit Adresse (bei Bietergemeinschaften aller Bieter)die Gebotssumme,die Unterschrift des Bieters (bei Bietergemeinschaften aller Bieter).Liegen mehrere Gebote in gleicher Höhe vor, entscheidet das Los.
b) Öffnung und Bekanntgabe
Die Angebote werden am Mittwoch, 31.10.2018, nach Gebotsende geöffnet, gewertet und bekannt gegeben. Nachverhandlungen sind ausgeschlossen.
c) Zuschlag / Beurkundung / Nebenkosten
Zum Zustandekommen des Rechtsgeschäfts ist eine Annahme des Gebotes durch die Gemeinde und eine notarielle Beurkundung erforderlich. Bei einem Verstoß gegen die Bieter-Voraussetzungen hat die Gemeinde ein Rückkaufsrecht zu den Verkaufskonditionen (ohne Verzinsung). Ein Rechtsanspruch auf Zuschlag beim Höchstgebot besteht nicht. Der Gemeinderat kann Einzelfallentscheidungen treffen.
Es ist vorgesehen, die Annahme des Gebotes in der Gemeinderatssitzung am Dienstag, 20.11.2018, zu erklären. Für die Vergabe im Gemeinderat ist auf Verlangen / nach Aufforderung im Vorfeld ein Bonitätsnachweis zu führen. Ein Verkauf unter Wert ist ausgeschlossen.
Die Nebenkosten des Grunderwerbs (notarielle Beurkundung, Grundbucheintragung, Grunderwerbssteuer, anteilige Vermessung bei Bietergemeinschaften) sind vom/von den Käufer/n zu tragen.
Download des Bieterformulars
Kaufpreisangebot für ein Grundstück (Bieterformular) als Download
Hinweise zum Ausfüllen des Formulars:
In Zeiten des transparenten Datenschutzes, Genderformulierungen (geschlechtergerechte Ausführungen) sowie partnerschaftliche Lebensformen mussten wir das Formular „Kaufpreisangebot für ein Grundstück" anpassen. Das Ganze liest sich auf den ersten Blick zunächst etwas ungewohnt und für den einen oder anderen sind diese Formulierungen vielleicht noch recht unbekannt. Wir möchten Ihnen das Ausfüllen des Formular möglichst einfach machen und geben Ihnen dazu ein paar Ausfüllhinweise:
Im 1. Block geben Sie bitte Ihren Namen mit Vornamen und Adresse sowie Ihre Kontaktdaten an.
Die dortige 2. Zeile ist dafür gedacht, wenn Paare, z.B. ein Ehepaar, gemeinsam als EIN Bieter auftreten wollen.
Dort geben Sie bitte den Namen mit Vornamen Ihres Partners an.
Im 2. Block sind alle Namen mit weiteren Angaben von Bietergemeinschaften anzugeben. Eine Bietergemeinschaft besteht aus mindestens 2 Einzelbietern, wobei auch hier der Einzelbieter z.B. ein Ehepaar sein kann. Verfahren Sie in diesen Fällen wie für den 1. Block beschrieben.
Sollte der Platz für weitere Bieter einer Bietergemeinschaft nicht ausreichend sein, ergänzen Sie bitte das Formular um ein neutrales Zusatzblatt, auf dem Sie die notwendigen Daten angeben.
Wichtig:
Geben Sie auf Seite 2 Ihr Gebot im mit Pfeilen markierten Bereich an.
Nicht vergessen: alle angegebenen Bieter müssen das Formular unterschreiben.
Zum Schluss geben Sie das Gebot in einen Umschlag und verschließen diesen.
Auf dem Umschlag vermerken Sie bitte: Nicht Öffnen - Bieterverfahren Grundstück Fl.Nr. 320/3, Gemarkung Großgarnstadt
Rückgabefrist: Mittwoch, 31.10.2018, 17:00 Uhr – Gemeinde Ebersdorf b.Coburg, Raiffeisenstr. 1, 96237 Ebersdorf
Kategorien: Rathaus